
এইযে পয়লা বৈশাখে পান্তার সঙ্গে ইলিশ না খেলে যেন বাঙালি থেকে ইংরেজ হয়ে যাব আমরা, এমন এক ভাব। এটির আসলে কোনোই মানে নেই। পান্তার সঙ্গে ইলিশ খাওয়ার চল ছিলই না। এদিকে ইলিশ ছিল সুলভ। কিন্তু সেদিন গেছে। দেশের বেশিরভাগ মানুষের নাগালের বাইরে ইলিশের দাম। আর এখন ইলিশ খাওয়ার মৌসুমও নয়। তাও কি পয়লা বৈশাখে ইলিশ খেতেই হবে? এদিকে বাজারের সবচেয়ে সুলভ ৫টি মাছের অনন্য পুষ্টিগুণ ও রান্নার টিপস জানিনা বলেই আমরা এগুলোকে অবহেলা করি। চলুন তবে বাজার ঘুরে দেখে আসি কী কী মাছ আছে সাধ ও সাধ্যের মিলন ঘটানোর মতো। কিছু টিপস মেনে ভুনা, ভাজা বা ঝোল, দোপেঁয়াজি করলে নববর্ষের ভোজ কিন্তু জমে যাবে এই মাছগুলোর পদ দিয়েই।
কিছুদিন আগে এক শিশু আমাদের জাতীয় মাছ পাঙাশ বলে ভাইরাল হয়েছিল সামাজিক মাধ্যমে। খুব ভুল কিছু বলে নি সে। এখন দেশের মানুষের হাতের নাগালে যে মাছগুলো বাড়ির সবার আমিষের চাহিদা মেটাচ্ছে, মুখে হাসি ফোটাচ্ছে তার মধ্যে পাঙাশ শীর্ষে আছে। অনেকের মাঝে এ মাছ নিয়ে একটু নিক সিঁটকানো ভাব আছে। কেউ কেউ এর গন্ধ পছন্দ করেন না। তবে দেখে কিনতে ও রাঁধতে জানলে পাঙাশের ভক্ত না হয়ে পারা যায় না।
বাজারদর
চাষের ফ্রেশ ছোট থেকে মাঝারি আকারের পাঙাস মাছ ২০০-৩০০ টাকা কেজি

পুষ্টিগুণ
পাঙাশ মাছ উচ্চমানের প্রোটিন, প্রয়োজনীয় অ্যামাইনো অ্যাসিড, ওমেগা-৩ ফ্যাটি অ্যাসিড, ক্যালসিয়াম এবং ফসফরাসের একটি চমৎকার এবং সাশ্রয়ী উৎস।এটি হৃৎপিণ্ড সুস্থ রাখতে, পেশি গঠনে এবং হাড় মজবুত করতে সাহায্য করে। এতে ক্যালোরি কম থাকে এবং ভিটামিন বি১২, ডি ও সেলেনিয়ামের মতো প্রয়োজনীয় খনিজ উপাদানও রয়েছে।

সাদাটে ধুসর ও সটান চামড়ার পাঙাস কিনতে হবে। মুখ লাল হবে। পেট যেন নরম বা স্ফীত না নয়। ত্বক অতিরিক্ত আঠালো হলে কিনবেন না।

রান্না করার আগে ভালোভাবে লবণ দিয়ে ঘষে ধুয়ে কাটতে হবে। কাটার পর একটু লেবুর রস মাখিয়ে রাখলে সুন্দর ফ্লেভার আসবে। সিরকা দিয়ে ধুলে আঁশটে গন্ধ চলে যাবে। তবে অতিরিক্ত ধুলে মাছের উপকারী তেলই বেরিয়ে যাবে। একটু সময়ে নিয়ে ভালোভাবে কষাবেন পাঙাশ। কষানোর সময় একটু আদা দিলে আর নামানোর আগে অল্প একটু ভাজা জিরের গুঁড়া হলে তো কথাই নেই।
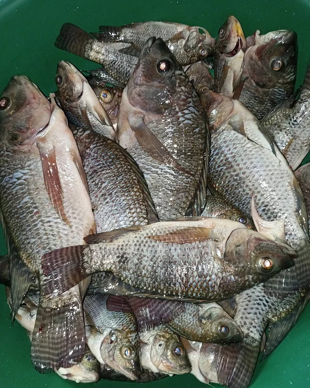
এই পুষ্টিকর ও পকেটফ্রেন্ডলি মাছটিকে ভিলেন বানানো হয় প্রায়ই। উৎস যদি বিষাক্ত না হয়, তবে তেলাপিয়া মাছে আলাদা কোনো ঝুঁকি নেই। বরঞ্চ স্বাদে, টেক্সচারে আর সর্বজনীন রেসিপি-বৈচিত্র্যের দিক থেকে তেলাপিয়ার জুড়ি নেই।

বাজারদর
সাইজভেদে তেলাপিয়া বাজারে এখন ২০০-৩৫০ টাকা মিলছে প্রতি কেজি
পুষ্টিগুণ
তেলাপিয়াতে থাকা ওমেগা-৩ ফ্যাটি অ্যাসিডের মাঝারি মাত্রা প্রদাহ কমিয়ে হার্টের স্বাস্থ্যে অবদান রাখে। উপরন্তু, তেলাপিয়াতে স্যাচুরেটেড ফ্যাট কম থাকে, যা স্বাস্থ্যকর কোলেস্টেরলের মাত্রা বজায় রাখার জন্য উপকারী।এর ফসফরাস উপাদান হাড় ও দাঁতের গঠন ও রক্ষণাবেক্ষণে সহায়তা করে হাড়ের স্বাস্থ্যকে ভালো রাখে। এই মাছে পাওয়া সেলেনিয়াম, রোগ প্রতিরোধ ক্ষমতা বজাত রাখতে গুরুত্বপূর্ণ ভূমিকা পালন করে।

টিপস
তেলাপিয়া কেনার সময় উৎস সম্পর্কে যথাসম্ভব খোঁজ নিন। নরম মাছ কিনবেন না। চোখ অতিরিক্ত ঘোলা যেন না হয়।
তেলাপিয়া মাছের খুব স্ট্রং ফ্লেভার নেই। এর ভালো দিক হচ্ছে যেকোন মসলা বা ম্যারিনেট খুব ভালোভাবে মেশে এতে। তেলাপিয়ায় কাটা নেই। ফিলেট করে নানা ধরনের শিশু-বান্ধব রেসিপি করা সম্ভব এ দিয়ে। আর দেশি কায়দায় ভাজা তেলাপিয়ারও জুড়ি নেই।
একে নাইল তেলাপিয়াও বলা হয়। কাটা বেশি তেলাপিয়ার চেয়ে। এজন্য জনপ্রিয়তা কম। স্বাদও আরেকটু ফ্ল্যাট। তবে তাজা নাইলোটিকা ফ্রাইয়ের মজাই আলাদা।

বাজারদর
১৮০-২২০ টাকা কেজি দরে পাওয়া যায় ছোট থেকে মাঝারি সাইজের নাইলোটিকা
পুষ্টিগুণ
নাইলোটিকা উচ্চ প্রোটিন, প্রয়োজনীয় অ্যামিনো অ্যাসিড এবং ওমেগা-৩ ফ্যাটি অ্যাসিড সমৃদ্ধ একটি পুষ্টিকর মাছ, যা হৃদরোগের ঝুঁকি কমাতে এবং শরীরের খনিজ চাহিদা পূরণে সাহায্য করে। এটি ভিটামিনএ, ডি ও বি-গ্রুপের ভালো উৎস এবং এতে ক্যালসিয়াম, ফসফরাস, সেলেনিয়াম ও ম্যাঙ্গানিজের মতো গুরুত্বপূর্ণ উপাদান আছে।

টিপস
কাটা বেশি বলে ভাজা বা মচমচে করে গ্রিল করলে ভালো লাগবে বেশি নাইলোটিকা। কেনার সময় পেট নরম নয়, কানকো সতেজ এমন মাছ কিনবেন।
একে ইংরেজিতে বলে রেবা কার্প। বাটা মাছের মতো সাইজ। কাটা আছে বেশ লম্বালম্বি। তবে ভুনা, ভাজা, ঝোল সবকিছুতেই বেশ স্বাদ খোলে তাজা টাটকিনিতে।

বাজারদর
বর্তমান বাজারে টাটকিনি মাছ সাধারণত আকার অনুযায়ী ২০০ থেকে ২৫০ টাকা কেজি দরে বিক্রি হচ্ছে
পুষ্টিগুণ
টাটকিনি একটি অত্যন্ত পুষ্টিকর ছোট প্রজাতির স্বাদুপানির মাছ, যা প্রোটিন, ক্যালসিয়াম, আয়রন, জিঙ্ক এবং ওমেগা-৩ ফ্যাটি অ্যাসিডের ভালো উৎস। এটি শরীরের পেশি গঠন, রোগ প্রতিরোধ ক্ষমতা বৃদ্ধি আর হার্ট ও মস্তিষ্ক সুস্থ রাখতে বিশেষ ভূমিকা রাখে।
টিপস
যেকোনো ছোট মাছের মতোই তাজা দেখে কিনবেন টাটকিনি। এর ভালো উপায় হচ্ছে একটি মাছ হাতের তালুতে নিয়ে দেখা। যদি মাছ নেতিয়ে না গিয়ে সটান থাকে তবে মাছ তাজা।


টাটকিনি মাছ কড়কড়ে ভাজা বেশ উপাদেয়। তবে ঝোল রান্না করলে ওভারকুক করবেন না। এতে টেক্সচার ও স্বাদ নষ্ট হয়ে যাবে।
আইলা মাছ বা ম্যাকারেল একটি জনপ্রিয় ইলিশগন্ধী সামুদ্রিক মাছ যা বঙ্গোপসাগর ও উপকূলবর্তী অঞ্চলে সহজলভ্য। এটি বাংলাদেশের উপকূলীয় অঞ্চলে বিশেষভাবে পরিচিত। সুলভ আর সুস্বাদু বলে এখন এদিকেও জনপ্রিয় হচ্ছে।

বাজারদর: বাংলাদেশে বর্তমানে ম্যাকারেল বা আইলা মাছ সাধারণত প্রতি কেজি ২৫০ টাকা থেকে শুরু করে ৩৫০ টাকায় বিক্রি হয়।
পুষ্টিগুণ
আইলা বা ম্যাকারেল ওমেগা-৩ ফ্যাটি অ্যাসিড, উচ্চমানের প্রোটিন, ভিটামিন D, এবং সেলেনিয়ামের চমৎকার উৎস। এটি হার্টের স্বাস্থ্য ভালো রাখে, মস্তিষ্কের কার্যক্ষমতা বাড়ায়, হাড় মজবুত করে এবং রক্তশূন্যতা প্রতিরোধে সাহায্য করে। এই মাছ ত্বক সুস্থ রাখতেও ভূমিকা রাখে।


টিপস
এটি ফ্রোজেন অবস্থাতেই আসে বাজারে। তবে বরফ অবস্থায় কিনলে নরম মাছ দিয়ে দিতে পারে ক্রেতা। ভাজা বা রান্নার আগে লেবুর রস মেখে রাখলে ভালো লাগে।
সূত্র: হেলথলাইন, উইকিপিডিয়া
ছবি: ইন্সটাগ্রাম